ArchivoEdición impresa

Portadas de El País Portadas a la carta »

Regala algo diferente, regala una portada

Acceso a suscriptores »

Accede a EL PAÍS y todos sus suplementos en formato PDF enriquecido

Miércoles, 16 de enero de 2002

Futuro

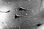
foto de la noticia

Recientes experimentos niegan la formación de neuronas nuevas

Los científicos siguen con atención la discusión que enfrenta a prestigiosos especialistas sobre si se producen neuronas nuevas en el cerebro de primates adultos, lo que tendría importantes repercusiones médicas. Nuevos experimentos de Pasko Rakic refutan observaciones de Elizabeth Gould de hace dos años que desafiaban suyas anteriores.

El color del universo es un turquesa pálido verdoso

Un estudio aclara la circulación del agua en el lago de Bañolas

Físicos españoles describen cómo obtener un nuevo fenómeno cuántico

MOLÉCULAS

Atención al cliente

Teléfono: 902 20 21 41

Nuestro horario de atención al cliente es de 9 a 14 los días laborables

Formulario de contacto »
EL PAíS Edición impresa


Webs de PRISA

cerrar ventana